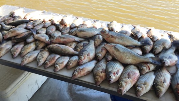
A photo of William_Cooper's catch

Caught By

William_Cooper
2/12/2016 5:41:58 PM

We caught the limit for sand bass at around 10:00. About 59 degrees with 6 mph winds. We fished in about 35 feet of water but about 15 feet up from the bottom. Overall it was a really fun time and a crazy amount of fish (104) for the weather lately.

Catch Details

Barred Sand Bass
Cedar Creek Reservoir

The location of this catch is only visible to Fishidy members. Create a free account!

Everyone

Comments
4K+

    1. HotKat 0
      WOW!
    2. William_Cooper 0
      thanks @MulletHead I'm sure it will be
    3. Gabe Mitchell 0
      @ChanceHuiet I'm going this year for sure
    4. Gabe Mitchell 0
      Awesome haul! Awesome info! Hope it's an awesome fish fry! Wish I could get into them like @ChanceHuiet and I did once
    5. luke_crowe 0
      ur an idiot
    6. View full conversation

Catch Location

Sign in or create a free Fishidy account to view the exact location of this catch.

Loading...